好消息!
达州将新增一农产品交易中心
12月1日
达州市自然资源和规划局
对达州高新区农产品交易中心
项目设计方案进行公示
详情如下

广大市民朋友:
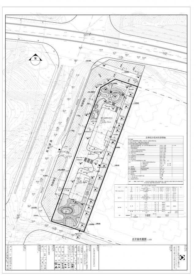
达州高新区农产品交易中心项目位于四川省达州高新区七河路与南北三号干道交叉口处。主要建设内容为新建一栋智慧农业博览交易中心楼以及一栋邻里中心楼,两层地下室包含综合超市,社区工坊以及车库。规划总建筑面积约33788平方米,容积率约1.9,建筑密度约20.9%,绿地率约25.3%。
现将该项目规划设计方案相关图纸予以公示,公示期为七个工作日,即2025年12月1日—2025年12月9日。与本项目有重大利害关系的业主,应在公示期内持本人身份证或书面向我局依法行使陈述申诉和投诉等权利。广大市民朋友如有建议和意见请及时与我局联系。
附注:
1.意见反馈方式:
(1)信函反馈意见:请邮寄至通川区巴渠东路109号1层达州市自然资源和规划局工程规划科
(2)咨询电话:0818-3091096(工程规划科)
2.有效反馈意见期:信函反馈意见邮戳日不应超过意见反馈期最后一天,逾期视为无效意见,不予采纳。
3.有效反馈意见:注明真实联系人姓名、联系电话、联系地址,如反馈意见不准确或不完整、无法及时进一步核对相关情况的是为无效意见。
4.查询网址:
http://zrzyj.dazhou.gov.cn/
特此公示!
达州市自然资源和规划局
2025年12月1日
项目区域位置
项目实景鸟瞰图

项目透视图


总平面布置图



